豆角类菌原体丛枝病对豆角(豇豆)有什么危害?豆角类菌原体丛枝病发生原因是什么?用什么农药可以防治豆角类菌原体丛枝病?以下中国三农网就作简单介绍,供网友们参考。

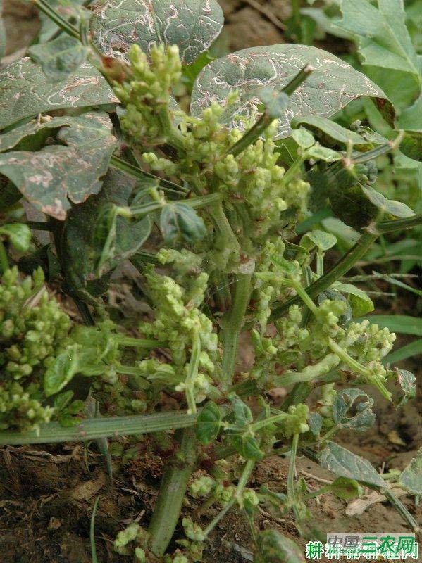
一、豆角类菌原体丛枝病症状及危害 豆角类菌原体丛枝病会引致的豆角丛枝病,病株矮化,叶变小,淡黄色,花变绿色叶片状,腋芽和不定芽大量抽出,病株成草丛状,不能结实。别于由病毒引起的丛枝病。后者病株虽也矮缩,老叶较健株浓绿,叶面皱缩,新生叶片变小、褪绿、黄化,腋芽簇生,但不成丛枝状;花也不变绿色或叶片状,早期染病的不结荚,后期染病的虽能结荚,但荚短且卷曲,尾尖细呈鼠尾状。

二、豆角类菌原体丛枝病传播途径 豆角类菌原体丛枝病通过豆蚜、汁液接触传播。豆角种子不能传毒。浸染循环还在研究中。

三、豆角类菌原体丛枝病发病原因 1、如地势低洼,排水不良;土壤黏重、偏酸;多年重茬,土壤积累病菌多。 2、豆角氮肥施用太多,生长过嫩,播种过密、株行间郁闭。 3、肥力不足、耕作粗放、杂草从生的田块。 4、豆角种子带菌、有机肥带菌或用易感病种子。 5、高温、干旱、蚜虫发生数量大发病重。
四、豆角类菌原体丛枝病预防措施 1、豆角在播种前,清除田间及四周杂草,集中烧毁或沤肥;深翻地灭茬,促使病残体分解,减少病原和虫原。 2、选用排灌方便的田块,开好排水沟,降低地下水位,达到雨停无积水;大雨过后及时清理沟系,防止湿气滞留,降低田间湿度,这是防病的重要措施。 3、种植豆角宜施用酵素菌沤制的堆肥或腐熟的有机肥,不用带菌肥料,有机肥中不得含有植物病残体;采用配方施肥技术,适当增施磷钾肥,加强田间管理,培育壮苗,增强植株抗病力,有利于减轻病害。 4、及时喷施除虫灭菌药,防治好蚜虫,断绝虫害传毒、传菌途径。 5、高温干旱时应灌水,以提高田间湿度,减轻蚜虫、灰飞虱危害与传毒。严禁连续灌水和大水漫灌。 6、因地制宜,合理选用抗病豆角品种。 7、在传毒蚜虫迁入菜豆地的始期和盛期,及时喷药剂杀灭蚜虫。 8、选用黄皿或银灰膜等物理避蚜法,减少毒源。
五、豆角类菌原体丛枝病防治农药 1、把病芽放在四环素溶液内,浓度为1000单位/毫升,浸2小时,用清水洗净后,采用小芽腹接法嫁接在健康番茄上,防效优异。 2、在生产上发现该病时,可在发病初期喷洒医用四环素或土霉素溶液4000倍液,隔10天左右1次,防治1次或2次。 如您有更好的防治方法,请在下方留言告诉我们,中国三农网感谢您的支持。
原标题:种豆角(豇豆)如何防治豆角类菌原体丛枝病? |豆角病虫害防治