葡萄开花期间适合什么温度?葡萄开花期温度应该控制在多少度?葡萄开花时有什么特点?以下三农网就作简单介绍,供网友们参考。

一、葡萄开花习性
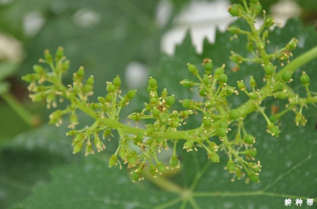
葡萄从萌芽到开花一般需要5~6周,当昼夜平均温度达17℃~20℃时,即开始开花。葡萄开花**适宜温度为25℃~30℃,在正常气候条件下,大多数品种的花期为6~7天。开花期如遇低温或阴雨天气,不仅花期延长还会造成授粉受精不良,影响产量。同一品种在植株的不同部位,开花早晚有一定差异。新梢下部的花序较上部的花序开得早,同一花序基部花蕾比穗尖花蕾开得早。单花有效授粉时间一般为4~5天。

二、葡萄授粉原理
葡萄的花蕾由花梗、花托、花萼、花冠、雄蕊、雌蕊组成。开花时花冠基部呈瓣状分裂向上卷起,呈帽状脱落,露出雄蕊雌蕊,随之花粉囊裂开,散出花粉,借风力和昆虫传播。葡萄也可以闭花授粉,即花冠未张开就在花帽内授粉。
葡萄的授粉受精过程是:健全的花粉落到雌蕊的柱头上,花粉粒吸收柱头上的分泌液,从发芽孔萌发出花粉管,花粉管通过花柱进入子房,然后再通过珠孔进入胚囊,先端逐渐膨胀而**花粉管破裂,雄配子(精子)与胚囊中的卵细胞结合成受精卵(合子)之后,子房开始膨大,果实开始生长。

三、无核葡萄特点
葡萄的无核品种称为无籽葡萄,主要是不经过授粉和受精过程而形成果实,称为单性结实。有的有核葡萄品种如玫瑰香等,有时受精后的胚珠有的发生败育,而发育成无籽果实,这种果实由于缺乏种子产生的赤霉素,往往比有籽果实小。
以上就是三农网介绍葡萄开花的特点,如您有更好的补充请留言告诉我们哦。
原标题:葡萄开花有什么特点? |葡萄种植技术






