黑点蚧危害脐橙后有什么症状?脐橙黑点蚧一般在什么时候开始发生?脐橙黑点蚧有什么方法防治?以下三农网就作简单介绍,供网友们参考。

一、黑点蚧对脐橙的危害
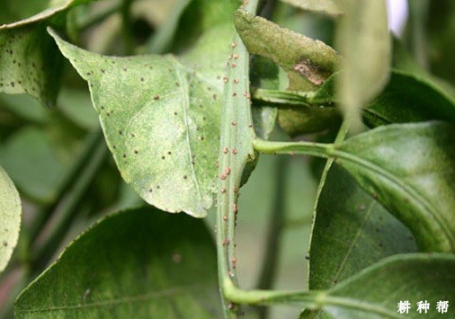
黑点蚧又叫黑点介壳虫。
黑点蚧主要危害脐橙叶片、小枝和果实,以幼虫和成虫群集在叶片、果实和小枝上取食。叶片受害处出现黄色斑点,严重时可使叶片变黄。果实受害后出现黄色斑点,成熟延迟,严重时影响果实品质和外观。黑点蚧还可以诱发煤污病。

二、脐橙黑点蚧发生规律
黑点蚧1年发生3~4代,以雌成虫和卵越冬,一龄虫于4月下旬出现,7月上旬、9月中旬和10月中旬出现3次高峰,12月份至第二年3月份,日平均温度13℃以下时,一龄若虫处于低潮时期。全年雌虫成虫数量始终比一龄若虫多,特别是11月份至第二年3月份**多。郁闭和生长衰弱的脐橙树有利于黑点蚧的繁殖。

三、脐橙防治黑点蚧方法
在若虫盛发期,每15~20天喷施一次药,共喷2次。药剂可用40%杀扑磷乳油1500倍液,或25%喹硫磷乳油1000倍液,或50%乙酰甲胺磷乳油800倍液喷施。
也可用黑点蚧天敌来防治,如红点唇瓢虫、长缨盾蚧蚜小蜂和赤座霉等。
在冬季彻底清园,剪除虫枝、干枯枝和郁闭枝,以减少虫源和改善通风透光条件。
如您有更好的建议和方法请留言告诉我们哦。
原标题:怎样防治脐橙黑点蚧?附图片 |橙子病虫害防治






