枣龟蜡蚧又叫枣虱子,枣龟蜡蚧如何危害枣树?枣龟蜡蚧什么时候开始发生?枣龟蜡蚧怎么样防治?以下三农网就作详细介绍,供网友们参考。

一、枣龟蜡蚧对枣树的危害
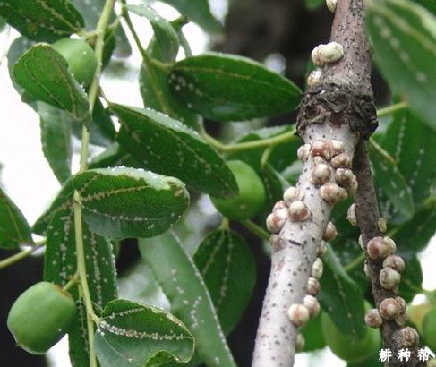
枣龟蜡蚧以若虫、成虫固着在叶片和小枝上刺吸树液,并分泌大量排泄物常引起霉菌寄生,使枝条、叶片、果实布满黑霉,严重影响光合作用和枝条、果实的正常生长,引起早期落叶,幼果脱落,树势衰弱,严重时可使枣树整株枯死。

二、枣龟蜡蚧发生规律
枣龟蜡蚧一年年发生一代,以受精雌虫在枝条上越冬。第二年4月底5月初枣树萌芽时,越冬雌虫恢复吸食并开始发育,虫体迅速增大。5月下旬或6月上旬开始产卵, 6月中旬前后为产卵盛期。卵产于母体下,一般每头雌虫产卵1000~2000粒,充满雌虫介壳。卵期20天左右。6月下旬~7月上旬为卵孵化盛期。若虫孵出后,多在上午10时~下午2时爬出介壳,沿枝条向上爬至叶片主脉两侧或枝梢上固定取食。初孵若虫还可借风力作较远距离的传播。若虫固定后,开始分泌蜜露,引起煤污病。雄若虫直至化蛹始终固定在叶片上不能活动,雌虫则有逐渐向枝条迁移的能力,而以变为成虫后向枝条迁移**多,8月下旬~9月上旬为迁枝盛期。危害至11月上中旬,与雄成虫交尾后即进入越冬期。

三、枣树防治枣龟蜡蚧方法
1、在冬季结合修剪,剪除虫枝,也可在冬季枣枝上结有冰凌时,及时敲打树枝,使虫体随冰凌震落。
2、药剂防治龟蜡蚧的关键是掌握好杀虫时机。在若虫孵出至形成蜡质介壳前,是杀虫的**时机。若虫一旦形成介壳后,药剂防治就不理想。在防治适期内连续用药2次,其间隔时间约100天左右。选用药剂有50%可湿性西维因500倍液,或功夫乳油4000倍液,或灭扫利3000倍液进行防治。
如您有更好的建议和方法请留言告诉我们哦。
原标题:枣树如何防治枣龟蜡蚧?附图片 |枣树病虫害防治






